Desaparecidos en Argentina CCDs

RSS

Sitio del CCD El Vesubio


Investigacion del sitio del CCD El Vesubio


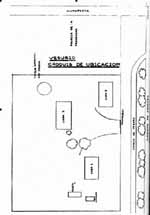
Plano aereo del Vesubio


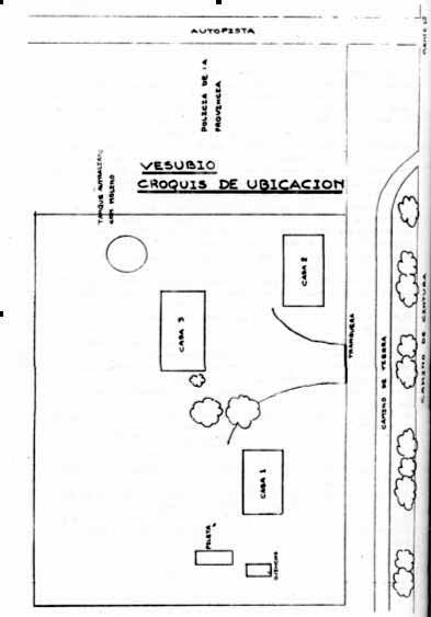
Plano del CCD Vesubio


Plano del CCD Vesubio


Plano del CCD Vesubio




 

El Vesubio

Información del Nunca Más

Este centro clandestino estaba ubicado en La Tablada, provincia de Buenos Aires, cerca de la intersección del Camino de Cintura con la autopista Ricchieri, en un predio del Servicio Penitenciario Federal. Se componía de tres construcciones, una de ellas con sótano, y una pileta de natación aledaña. Su nombre clave para las fuerzas que operaban allí fue "Empresa El Vesubio"; el "grupo de tareas" estaba provisto de credenciales que certificaban su pertenencia a dicha "empresa". Su existencia como centro de detención ilegal podría remontarse al año 1975, aunque entonces era denominado "La Ponderosa" (Legajo Nº 7170).

En 1976 habría funcionado bajo la jurisdicción del I Cuerpo de Ejército, cuyo jefe era el General Guillermo Suárez Mason (Legajos Nros. 3048, 3524, 3382, 6769, 7170, 2529, 4124, 4151 y 7077), con dependencia directa de la Central de Reunión de Inteligencia (CRI) que funcionaba en el hospital del Regimiento 3 de La Tablada, cuyo jefe era el entonces Coronel Federico Minicucci (Legajos Nros. 7169, 2262, 98, 1310).

El testimonio de Elena Alfaro (Legajo Nº 3048) resume con precisión las principales de este C.C.D., coincidiendo otros liberados con tales descripciones:

"El General Suárez Mason visitaba periódicamente el campo. El día de mi liberación fui interrogada por él acerca del conocimiento por parte de mis familiares de mi embarazo y sobre mis planes de vida para cuando saliese. El Mayor Durán Sáenz (corroborado por los Legajos Nros. 3048, 3382 y 7170), responsable del campo vivía allí de lunes a viernes y los fines de semana viajaba a su casa en Azul". "El responsable de los guardias era el suboficial penitenciario Hirschfeld (corroborado en los Legajos Nros. 7170 y 3048).

"Asimismo, la seguridad estaba a cargo de personal del Servicio Penitenciario Federal, seis suboficiales en total, que hacían guardia en las "cuchas" (especie de nichos donde estaban los prisioneros). Estas personas eran de importancia fundamental para el mantenimiento del clima de terror imperante en el campo. De ellos dependían los detenidos para comer, ir al baño o higienizarse».

"En junio de 1977 tomó la jefatura del campo un grupo de oficiales de infantería del Ejército proveniente del Regimiento ó de Infantería de Mercedes. Todos los integrantes del FTE (Fuerzas de Tareas Especiales) bajo el mando de Suárez Mason, fueron promovidos a fines de 1977 como premio al trabajo realizado. Grupos de Tareas pertenecientes a otras fuerzas utilizaron las instalaciones del campo en distintas oportunidades, como en el caso de mi secuestro y el de mi marido, Luis Fabri, quien fue ejecutado por el GT 4, de la Aeronáutica de Córdoba».

"El régimen de terror imperante, la falta de referencias, la pérdida de identidad al ser designados con un número, la incertidumbre y las vejaciones permanentes, constituían una constante tortura psíquica. Muchas veces fuimos amenazados con presenciar la tortura de familiares y en algunas oportunidades así fue. En mi caso, tuve que ver cómo torturaban a mi marido. Otra detenida, Irma Beatriz Márquez, fue obligada a presenciar la tortura de su hijo Pablo, de doce años».

De acuerdo COA las constancias testimoniales obrantes en esta Comisión, 34 de las personas que estaban detenidas clandestinamente en El Vesubio en setiembre de 1978 fueron separadas en grupos. Los detenidos, con los ojos vendados y las manos atadas a la espalda, fueron dejados en la proximidad de unidades militares en vehículos cerrados. A los pocos minutos, en todos los casos eran «descubiertos» por personal militar que condujo a los prisioneros a distintos regimientos o comisarías de la Provincia de Buenos Aires.

Ya «legalizados» fueron puestos a disposición del Consejo de Guerra Especial Estable, presidido por el Coronel Bazilis, el que se declaró incompetente, girando las causas a la Justicia Federal. En un plazo muy breve, el Juzgado Federal a cargo del Dr. Rivarola, Secretarías de Curutchet y Guanziroli, sobreseyó a los acusados. A mediadios de 1979 las víctimas de todo este proceso fueron dejadas en libertad desde los penales en los que cada uno estaba. Habían quedado sin embargo registradas en el expediente judicial las denuncias de algunas de las dramáticas situaciones por ellos vividas.

Los edificios donde funcionaron la «enfermería», la «jefatura», las «cuchas» y el «quirófano» (con su inscripción «si lo sabe cante, si no aguante»), no existen más. Fueron demolidos ante la inminente visita de la Comisión de Derechos Humanos de la OEA. Sin embargo, a fines del año pasado, el Juez Dr. Ruiz Paz, y este año la CONADEP, acompañados por testigos, encontraron entre los escombros las características baldosas descriptas por los ex cautivos, también restos de las «cuchetas» de hormigón y pudieron determinar sobre el terreno el emplazamiento de cada dependencia descripta (Legajo Nº 3048).

Información de "Maternidades Clandestinas".

Los crímenes de El Vesubio siguen en lista de espera

CCDs

Estuviste en el CCD "El Vesubio"? Si es así, por favor envianos tu testimonio.




Proyecto Desaparecidos
Argentina


Presentes | Represores | Documentos | Voces | Enlaces | Blog | Últimos Documentos

Proyecto Desaparecidos Busca Notas Preguntas Frecuentes correo